Hỗ trợ tư vấn
Tư vấn - Giải đáp - Hỗ trợ đặt tài liệu
Mua gói Pro để tải file trên Download.vn (không bao gồm tài liệu cao cấp) và trải nghiệm website không quảng cáo
Tìm hiểu thêm »Năm 2020 đã sắp khép lại, kết thúc một thập kỷ với nhiều biến động và sự kiện xảy ra trên toàn thế giới. Hãy cùng Download.vn điểm lại top 10 từ khóa được tìm kiếm nhiều nhất trong thập kỷ vừa qua theo từng năm trong bài thống kê dưới đây.


Từ khóa được tìm kiếm nhiều nhất năm 2020 chắc chắn là Virus Corona. Đây là chủng virus đã gây ra đại dịch Covid-19 trên toàn cầu, cướp đi sinh mạng của hàng triệu người và làm thiệt hại kinh tế của rất nhiều quốc gia.

Từ khóa được tìm kiếm nhiều nhất năm 2019 là Disney Plus. Đây là nền tảng truyền hình trực tuyến được Disney ra mắt với rất nhiều nội dung phong phú và mức thuê bảo vô cùng hấp dẫn.

Năm 2018, World Cup trở lại và giành được nhiều lượt tìm kiếm nhất với sự đăng quang của đội tuyển Pháp.

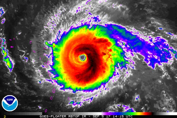
Năm 2017, từ khóa tìm kiếm nhiều nhất là Irma. Đây là cơn bão có sức tàn phá khủng khiếp, quét qua Florida và vùng biển Caribbean với tốc độ gió kỉ lục 185 dặm một giờ và thời gian duy trì lên tới 37 tiếng đồng hồ gây thiệt hại vô cùng nặng nề.

Năm 2016 từ khóa tìm kiếm phổ biến nhất là Powerball. Đây là xổ số đã giúp 3 người may mắn nhận được tổng số tiền lên tới 1,6 tỷ đô la.

Từ khóa được tìm kiếm nhiều nhất năm 2015 là Lamar Odom. Anh là một tuyển thủ bóng rổ vô cùng nổi tiếng ở Mỹ, người đã 2 lần vô địch giải bóng rổ nhà nghề NBA. Năm 2015, Lamar Odom đã phải nhập viện và chiến đấu với bạo bệnh đã gây chấn động truyền thông.

Từ khóa được tìm kiếm nhiều nhất năm 2014 là Robin Williams. Ông là một diễn viên nổi tiếng đã từng đạt giải Oscar và đã đóng vai chính nhiều bộ phim như Good Will Hunting, Mrs. Doubtfire, Dead Poets Society và Aladdin của Disney. Năm 2014, ông đã tự tử ở tuổi 63 sau khi vật lộn với căn bệnh trầm cảm nặng và mất trí nhớ.

Từ khóa được tìm kiếm nhiều nhất năm 2013 là Paul Walker. Anh là diễn viên nổi tiếng trong loạt phim đình đám Fast and the Furious. Paul Walker qua đời ở tuổi 40 do tai nạn xe hơi, để lại sự bàng hoàng và tiếc nuối của rất nhiều người.

Từ khóa tìm kiếm nhiều nhất năm 2012 là Whitney Houston. Bà được mệnh danh là " Nữ hoàng nhạc pop", người đã giành được tới sáu giải Grammy. Vào năm 2012, Whitney Houston đã qua đời ở tuổi 48.

Từ khóa tìm kiếm nhiều nhất năm 2011 là Casey Anthony. Vào năm 2008, vụ án bi thảm của bé gái 2 tuổi mang tên Caylee Anthony đã khiến mẹ của bé là bà Casey Anthony phải hầu tòa, và là vụ án thu hút đông đảo sự quan tâm của dư luận. Vào năm 2011, tòa án đã kết luận, Casey Anthony không phạm tội giết người.

Từ khóa được tìm kiếm nhiều nhất năm 2010 là World Cup. Đây là lần đầu tiên đại hội bóng đá lớn nhất hành tinh này tổ chức tại một quốc gia Châu Phi. World cup 2010 cũng đánh dấu sự đăng quang của đội tuyển Tây Ban Nha sau khi giành chiến thắng trước Hà Lan ở hiệp phụ.
Theo Nghị định 147/2024/ND-CP, bạn cần xác thực tài khoản trước khi sử dụng tính năng này. Chúng tôi sẽ gửi mã xác thực qua SMS hoặc Zalo tới số điện thoại mà bạn nhập dưới đây: